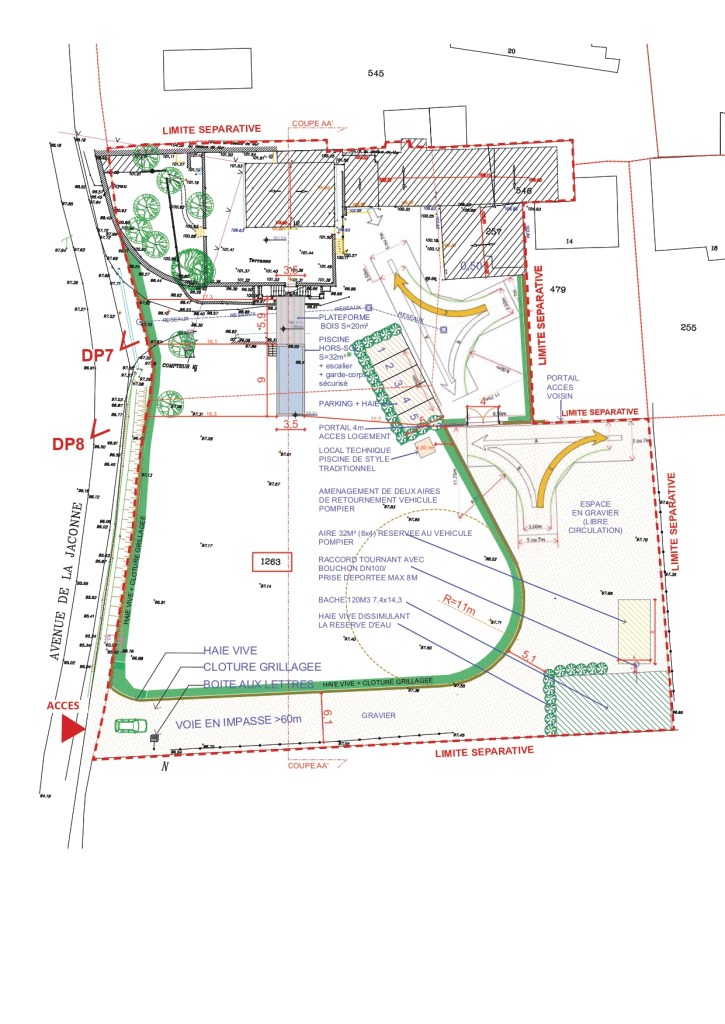
Projet de rénovation d’un ancien corps de ferme provençal de 350m² à Puyvert (84) dans le massif du Luberon. Le permis de construire a été approuvé par le service urbanisme en décembre 2023. La livraison s’est déroulée en juin 2024, avec un coût total de 350 000 euros. Situé en zone agricole, le projet vise à protéger et valoriser un bâtiment remarquable. Pour obtenir l’approbation, il a fallu prouver son existence légale antérieure à 1943. Le projet conserve les baies existantes, restaure les génoises, les appuis de fenêtre et les souches des cheminées, tout en privilégiant l’utilisation de matériaux nobles tels que l’enduit à la chaux, le bois pour les menuiseries et le zinc pour les gouttières. De plus, des oliviers sont introduits sur la vaste parcelle agricole.
Ce projet a été réalisé avec mon grand ami Barth qui a réalisé toute la partie décorative et design du projet. Barth est le directeur de l’agence Barth Architecture située à Hyères avec le site internet suivant : https://www.barth-architecture.com/ et le numéro de téléphone : 06 70 53 42 90













PHOTOS DU CHANTIER EN COURS (LIVRAISON PREVUE UN MOIS PLUS TARD) :
LA CONCEPTION DU PROJET :

































